century 21 the one logo

0 Dumont RoadChamplain, NY 12919Sale Price: $125,000

  • Sale Price: $125,000
  • 96 Days Since Sale
$
$
%
$/month over payments
Federal 30-year interest rate: 6.22% last updated on Dec 11, 2025
* All Figures are estimates. Check with your bank or proposed mortgage company for actual interest rates.
This product uses the FRED® API but is not endorsed or certified by the Federal Reserve Bank of St. Louis.
  • $125,000Sale Price
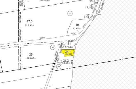
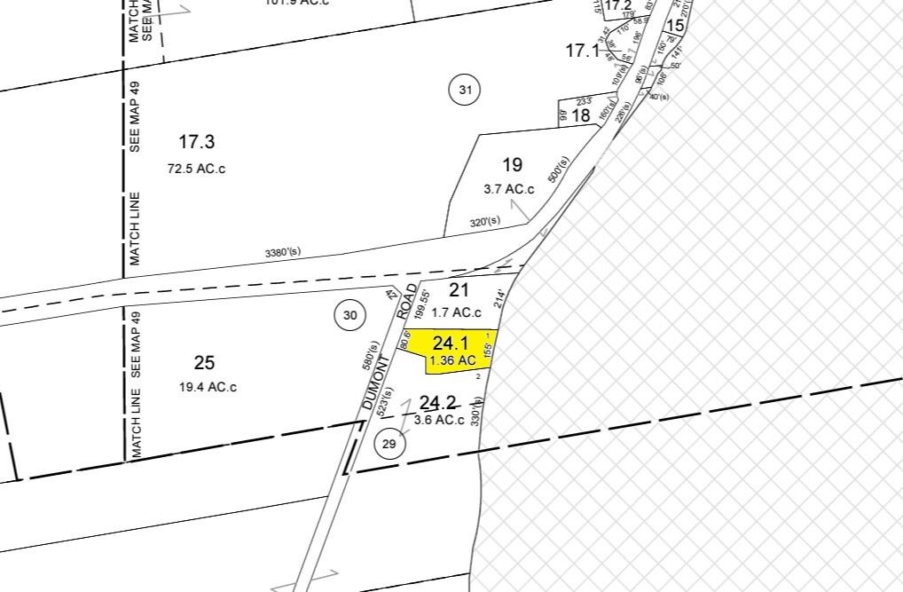
  • 1.36Acreage
Listed by Joey Trombley of Kavanaugh Realty

Listing Sold by Kavanaugh Realty

Listing Tools

This 1.36 acre lake lot is on a dead end road and is very peaceful and quiet. This property was surveyed out from a larger parcel and is waiting for it's new assessment. This parcel does have it's own tax parcel number. You have 147.5 feet of Lake frontage. There is also a 28 x 36 old fashion barn on the property. Survey was done by Dean Lashway and recorded on 12/23/21 What a beautiful parcel of land to build your dream home on.

Property Details of 0 Dumont Road

Property Details

Exterior Features

Utilities and Appliances

Community

Other Details

Map Location

Driving Directions

 Based on information submitted to NY_ACVMLS as of December 13, 2025 5:52 AM EST . All data is deemed reliable but is not guaranteed accurate by the MLS. All information should be independently reviewed and verified for accuracy. IDX information is provided exclusively for consumers’ personal, noncommercial use and may not be used for any purpose other than to identify prospective properties consumers may be interested in purchasing.

Hi there! How can we help you?

Contact us using the form below or give us a call.

Send Us A Message:

I agree to receive marketing and customer service calls and text messages from Century 21 TheOne. To opt out, you can reply 'stop' at any time or click the unsubscribe link in the emails. Consent is not a condition of purchase. Msg/data rates may apply. Msg frequency varies. Privacy Policy.

Do not fill in this field:

This site is protected by reCAPTCHA and the Google Privacy Policy and Terms of Service apply.